Біляївська Отг
Дорожні знаки у Біляївці: зміни біля ліцею N2
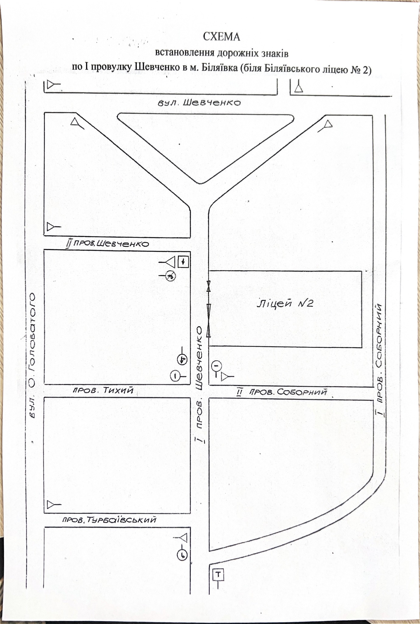
У Біляївці встановлено нові дорожні знаки біля ліцею N2. Раніше ми повідомляли про рішення виконкому щодо встановлення дорожніх знаків у цьому мікрорайоні. Детальніше про рішення виконкому.
Ці заходи спрямовані на впорядкування дорожнього руху та забезпечення безпеки всіх його учасників. Наразі, дорожні знаки вже встановлено, і ми звертаємось до водіїв з проханням бути особливо уважними.
Зміни стосуються І провулку Шевченка, де тепер організовано односторонній рух. Це важливий крок для зменшення заторів біля ліцею, що раніше створювали незручності та становили загрозу для пішоходів та інших учасників дорожнього руху. Безпека дорожнього руху – наш пріоритет.
Просимо з розумінням поставитися до цих змін. Організація дорожнього руху біля навчальних закладів завжди потребує особливої уваги, і ці нововведення покликані зробити перебування дітей та дорослих у цьому районі більш безпечним та комфортним. Дякуємо за вашу співпрацю та обачність на дорогах!
Встановлення нових дорожніх знаків – це частина комплексної програми з покращення інфраструктури та безпеки дорожнього руху в Біляївській громаді. Ми продовжуємо працювати над тим, щоб наші дороги були безпечними для всіх. Безпека дорожнього руху залежить від кожного з нас.


